Коротко о клёве. Июль 2014
Модераторы: edik, Max, Ruslan T
Re: Коротко о клёве. Июль 2014
Сегодня.После обеда. Карадули.Лосось.У всех( в пределах видимости ), на всё
Даже вездесущего и всеядного карася не было 
Делай что должен и будь что будет
Re: Коротко о клёве. Июль 2014
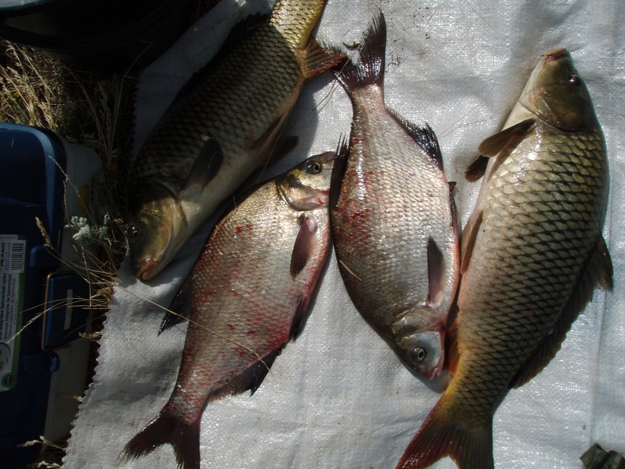
Сегодня Свияга с 4.30-14.00. Совместно с Рашитом и sactert. Фидерили немножко.
1 фидер дистанция 42 м. Прикорма интересного не осталось, поэтому взял плотва чёрная и плотва серая пылевидная, кукуруза, сухарь микс. Червь, опарыш и мотыль.
2 фидер дистанция 50 м. Прикорм озеро клубника, кукуруза. Насадка - 3 кукурузки на волосе.
На 1 фидер ловилась откровенная мелочь в виде густеры и подлещика. Попался окунишка грамм на 100. Пару поклёвок на кукурузу, но не крупная рыбка по всей видимости.
По совету Рашита в 11-ом часу сократил дистанцию лова на 1 фидере с 42 м до 36 м. У него примерно на этой дистанции хорошо ловился
подлещик. Сазанчик иногда тоже беспокоил. Одного он даже изловил. Дно в этот раз не пробивал, просто клипсанулся. 2 фидер тоже стал кидать поближе. Около 11 часов на кукурузки попался бодренький подлещик.
Через полчаса на мотыль его брат зацепился.
В 12.40 при небольшой подмотки лески катушкой в пол оборота сразу взял сазанчик на чесночного опарыша. Довольно часто такой приём срабатывает у меня. 5 минут его тянул на чувствительную палочку. Ощущения
. Фрикцион отработал на полную. Зацепился на 16-Камасанчик очень скромно, внутреннюю часть губы даже не проколол, а продел кожицу. Благо перед этим порвал поводок 0,14 и я сменил на 0,2 флор. Подлещик на кукурузку практически также подделся. Правда там крючок по-крупнее был.
Через час, под конец рыбалки, ещё экземпляр, но чуть меньше. Сдался через 4 минуты. Комфортно было сидеть часов до 11. Потом солнышко вышло из-за облаков и стало припекать немного. Вода ближе к обеду стала прибывать. Где-то на 1 метр прибыла.
У Рашита мерного подлещика примерно 5-7 кг. Попались 3 гибрида под полкило. Сазанчик на 1,1 кг (43 см). Пару сходов. Насадка мотыль, опарыш.
sactert довольствовался мелкой густерой и подлещиком. Возможно причиной такого улова стала прикормка, пару раз размороженная и замороженная.
Клевало в основном на опарыша и мотыля в принципе в равной степени. Добавлял ваниль, карамель, чеснок на опарыш. Чеснок был лучшим. Червя рыба сегодня, как объект гастрономии, не рассматривала.
1 фидер дистанция 42 м. Прикорма интересного не осталось, поэтому взял плотва чёрная и плотва серая пылевидная, кукуруза, сухарь микс. Червь, опарыш и мотыль.
2 фидер дистанция 50 м. Прикорм озеро клубника, кукуруза. Насадка - 3 кукурузки на волосе.
На 1 фидер ловилась откровенная мелочь в виде густеры и подлещика. Попался окунишка грамм на 100. Пару поклёвок на кукурузу, но не крупная рыбка по всей видимости.
По совету Рашита в 11-ом часу сократил дистанцию лова на 1 фидере с 42 м до 36 м. У него примерно на этой дистанции хорошо ловился
В 12.40 при небольшой подмотки лески катушкой в пол оборота сразу взял сазанчик на чесночного опарыша. Довольно часто такой приём срабатывает у меня. 5 минут его тянул на чувствительную палочку. Ощущения
Через час, под конец рыбалки, ещё экземпляр, но чуть меньше. Сдался через 4 минуты. Комфортно было сидеть часов до 11. Потом солнышко вышло из-за облаков и стало припекать немного. Вода ближе к обеду стала прибывать. Где-то на 1 метр прибыла.
У Рашита мерного подлещика примерно 5-7 кг. Попались 3 гибрида под полкило. Сазанчик на 1,1 кг (43 см). Пару сходов. Насадка мотыль, опарыш.
sactert довольствовался мелкой густерой и подлещиком. Возможно причиной такого улова стала прикормка, пару раз размороженная и замороженная.
Клевало в основном на опарыша и мотыля в принципе в равной степени. Добавлял ваниль, карамель, чеснок на опарыш. Чеснок был лучшим. Червя рыба сегодня, как объект гастрономии, не рассматривала.
Не так страшен Бэн, как его ган.
Re: Коротко о клёве. Июль 2014
Нет, не у всех лосось. Как я понял, вы были на красной семерке, а я перед вами на кресле Корум. После вашего отъезда, потихоньку начало клевать... Мы взяли по карасику (уже начали сматываться, а тут клевать начало, после восьми), уезжали с клева...Прусалка писал(а):Сегодня.После обеда. Карадули.Лосось.У всех( в пределах видимости ), на всёДаже вездесущего и всеядного карася не было
Рыбалка - это то, благодаря чему мы, не смотря ни на что!
Re: Коротко о клёве. Июль 2014
на всяк случай напишу, коль вы меряете рыбу, что правильно мерять так(не хочу сказать что вы не правильно меряли, а просто для всеобщего просвящения, кто ещё захочет мерять):
Как измерить рыбу и рака
Допустимый размер водных биоресурсов, выловленных в Республике Татарстан определяется в свежем виде:
у рыб - путем измерения длины от вершины рыла (при закрытом рте) до основания средних лучей хвостового плавника
т.е. сам хвост в измерении длины не участвует... ну это я так, просто чтоб все знали и помнили
Как измерить рыбу и рака
Допустимый размер водных биоресурсов, выловленных в Республике Татарстан определяется в свежем виде:
у рыб - путем измерения длины от вершины рыла (при закрытом рте) до основания средних лучей хвостового плавника
т.е. сам хвост в измерении длины не участвует... ну это я так, просто чтоб все знали и помнили
Step by step, пока от монитора не ослеп...
Re: Коротко о клёве. Июль 2014
Вчера. Заливы Волги. Джиг. с 19:30 до 10:00. Топляк 5-10 м.
Поначалу заякорился на 7 м. Лёгкие тычки, сходы. Принял решение искать косу (точку сообщил товарищ) для поиска ночного судака. К сожалению, косы обнаружено не было
. Поласкание воблеров в камышёвой зоне тоже результатов не принесли, хотя щука била очень хорошо. Да не упирался особа, т.к. временно потерял интерес к данному виду ловли. Слишком много щуки было в прошлом сезоне
Вернулся на топляк, только в этот раз встал на 10 м. И тут понеслось, с 9 до 9:30 активный выход судака. На копчуху наловил, а больше и не надо. В прилове оказались и бонусы
Рыбалкой доволен. Ждём выходных...
Поначалу заякорился на 7 м. Лёгкие тычки, сходы. Принял решение искать косу (точку сообщил товарищ) для поиска ночного судака. К сожалению, косы обнаружено не было
Вернулся на топляк, только в этот раз встал на 10 м. И тут понеслось, с 9 до 9:30 активный выход судака. На копчуху наловил, а больше и не надо. В прилове оказались и бонусы
Рыбалкой доволен. Ждём выходных...
-----------------
Бог создал мир. Все остальное сделано в Китае
Бог создал мир. Все остальное сделано в Китае
Re: Коротко о клёве. Июль 2014
Точно сидел с 15.00 ни поклёвки и волны. к 21.00 стихло всё и штиль у берега. Итог на удочку сенчик под кило , прогнул удочку от души.Прусалка писал(а):Сегодня.После обеда. Карадули.Лосось.У всех( в пределах видимости ), на всёДаже вездесущего и всеядного карася не было
Да чуть не забыл комары ошалелые всего закусали.
Последний раз редактировалось Лаврик 24 июл 2014 11:26, всего редактировалось 2 раза.
КЛЁВ-это по нашему.
Re: Коротко о клёве. Июль 2014
Удивительно, но и в Кирбях с 18.00 до 21.00 примерно та же картина.Лаврик писал(а):Точно сидел с 15.00 ни поклёвки и волны. к 21.00 стихло всё и штиль у берега. Итог на удочку сенец под кило , прогнул удочку от души.Прусалка писал(а):Сегодня.После обеда. Карадули.Лосось.У всех( в пределах видимости ), на всёДаже вездесущего и всеядного карася не было
-
freelancerkzn
- Сообщения: 3
- Зарегистрирован: 24 июл 2014 10:49
Первый Пост, Первый Амур
Всем добрый день,
Просматриваю форум давно, зарегистрировался только сегодня.
Итак мой первый пост.
Посмотрев на ветреную погоду вчера вечером. Решили за лещом не ходить, а вооружившись поплавочками двинуть на озеро, недалеко от Б.Матюшино.
Клев начался примерно в 18.30 и не прекращался до самой темноты.
Насадка: червь, желательно сразу 2-3 на крючке.
Прикормка: Нет.
Глубина ловли: около 1 метра, в окошках водорослей.
Результат: Карась от ладони и больше как из пулемета. В прилове ротан, достаточно крупный и очень вкусный
,
И в самом конце залетел бонус, сопротивлялся очень активно, по весу не знаю, но выводил я его на 0,16 леску очень и очень аккуратно в течение наверное минут 10, но он все таки ее порвал, хорошо что у берега.
Это белый Амур, по сопротивлению превосходит голавля аналогичного веса раза в 4.
Адреналину хапнул уйму.
Завтра еще хочу поехать...
Просматриваю форум давно, зарегистрировался только сегодня.
Итак мой первый пост.
Посмотрев на ветреную погоду вчера вечером. Решили за лещом не ходить, а вооружившись поплавочками двинуть на озеро, недалеко от Б.Матюшино.
Клев начался примерно в 18.30 и не прекращался до самой темноты.
Насадка: червь, желательно сразу 2-3 на крючке.
Прикормка: Нет.
Глубина ловли: около 1 метра, в окошках водорослей.
Результат: Карась от ладони и больше как из пулемета. В прилове ротан, достаточно крупный и очень вкусный
И в самом конце залетел бонус, сопротивлялся очень активно, по весу не знаю, но выводил я его на 0,16 леску очень и очень аккуратно в течение наверное минут 10, но он все таки ее порвал, хорошо что у берега.
Это белый Амур, по сопротивлению превосходит голавля аналогичного веса раза в 4.
Адреналину хапнул уйму.
Завтра еще хочу поехать...
Re: Коротко о клёве. Июль 2014
Сегоня с 4:00 до 7:00 возле моста М7. 3 подлещика грамм по 150 и все. В 6:00 тяга прекратилась и начались запутки поводков. 
Судя по всему, слово «вобла» произошло от удивленного восклицания рыбака...
-
Фабрика Настроений
- Сообщения: 3
- Зарегистрирован: 15 июл 2014 19:05
Re: Коротко о клёве. Июль 2014
Всём привет! Запоздалый отчёт (так как прочитал все отчёты о Мёше и тоже решил поделиться!) 22 июля Карадули с 3:30 до 9:00 Рыбачил с другом на двоих 5 фидерных + 1 поплавочная снасть! Кукуруза , червь, боил разный ! Кроме двух небольших резких ударов 0 поймано 0 ! по берегу такая же ситуация ! Только один сосед взял леща кило на 2 и пару карасиков! Кроме как тихий ужас это больше ни как назвать нельзя! Ездим уже не в первый раз! Погода хорошая штиль ветер западный, южный, нет клёва! погода плохая пасмурно ветер северный, восточный! Тоже ноль! Не понятно почему нет клёва! ладно бы только у нас) значит рыбаки такие!) да нет ведь ни кто не ловит! Подскажите что делать? Точнее куда же поехать порыбачить! 
Re: Коротко о клёве. Июль 2014
Сегодня. Карташиха. С ранья до обеда. Погода отличная, но с рыбой совсем беда. Полнейший пролетарий.Несколько невнятных поклевок, на двоих три отпущенных недомерка, пара сходов с глубины и один возле лодки жереха в районе килограмма. С собой не забрали ничего. Второй экипаж довольствовался несколькими бершами и щукой в районе пятерки. Достойной рыбы нет ни у кого, у лещатников тоже более чем скромно, квокеры тоже по нулям, по крайней мере до нашего отъезда.... Даже и не знаю куда теперь ехать, в этом году все рыбалки по всем любимым местам пролетные((
- vikingkazan
- Коренной Татфишевец

- Сообщения: 1235
- Зарегистрирован: 23 сен 2007 20:33
Re: Коротко о клёве. Июль 2014
Меша, после обеда 23-го, отменный клев сазанчика, до после обеда 24-го... Больших не было, до 2,5кг. Видео отчет монтируется пока)))Прусалка писал(а):Сегодня.После обеда. Карадули.Лосось.У всех( в пределах видимости ), на всёДаже вездесущего и всеядного карася не было
Re: Коротко о клёве. Июль 2014
Сегодня Волга с 4.30 на кольцо . За три часа ни поклевочки. Поехал в камыши поплавочек погонять. Неплохой карась порадовал бойкими поклёвками.




...ибо не наживы ради, а удовольствия для!
-
freelancerkzn
- Сообщения: 3
- Зарегистрирован: 24 июл 2014 10:49
Re: Коротко о клёве. Июль 2014
Вчера, озеро недалеко от Б.Матюшино. Белый амур - 2 шт.
Насадка кукуруза.
Тип ловли - на плавающую бомбарду (дальний заброс), Спин SALMO 1.80.
Основная леска 0,25, поводок на вертлюге после бомбарды - 0.16.
Клевал трудно, то есть приходилось очень ждать пока бомбарду с брызгами в кусты не потянет.
Если подсекать раньше, не засекается. Глубина ловли около 70 см, но нужно высматривать где стоит и плещется рыба, и забрасывать чуть дальше, потом выждать и тихонько подмотать, дабы движением насадки привлечь внимание. То есть полный спорт. Взял 2 экземпляра - 1.200гр и 1.400 гр. Борьба при вываживании - просто песня.
. Весь мелкий прилов (карасики) отпущен.
Без подсачника делать нечего, на морду и леску при вываживании наматывает огромное количество тины, потом рывок, и обрыв
Так 1 штуку у берега упустил. Но тем не менее, свое вчера вечером все таки взял.
Всем клева, ждем погоды.
Насадка кукуруза.
Тип ловли - на плавающую бомбарду (дальний заброс), Спин SALMO 1.80.
Основная леска 0,25, поводок на вертлюге после бомбарды - 0.16.
Клевал трудно, то есть приходилось очень ждать пока бомбарду с брызгами в кусты не потянет.
Если подсекать раньше, не засекается. Глубина ловли около 70 см, но нужно высматривать где стоит и плещется рыба, и забрасывать чуть дальше, потом выждать и тихонько подмотать, дабы движением насадки привлечь внимание. То есть полный спорт. Взял 2 экземпляра - 1.200гр и 1.400 гр. Борьба при вываживании - просто песня.
Без подсачника делать нечего, на морду и леску при вываживании наматывает огромное количество тины, потом рывок, и обрыв
Всем клева, ждем погоды.
- vikingkazan
- Коренной Татфишевец

- Сообщения: 1235
- Зарегистрирован: 23 сен 2007 20:33
Re: Коротко о клёве. Июль 2014
23-24 июля, Меша.
Re: Коротко о клёве. Июль 2014
Утро. Берег Азовского моря.
На опарыш хорошо клюет тарань и селедка вперемешку с бычком.
Рыба не крупная, но ее количество перевешивает размер.
В следующий рад постараюсь выложить фото
На опарыш хорошо клюет тарань и селедка вперемешку с бычком.
Рыба не крупная, но ее количество перевешивает размер.
В следующий рад постараюсь выложить фото
Все сказанное лишь мое личное мнение
Re: Коротко о клёве. Июль 2014
Сегодня, правый берег волги, фидер. Сильный ветер и волна. Поймано около 30 кг. сазана и 2 леща. Самый крупный сазан на 4 кило. Брал только на кукурузу. У соседей по берегу почему-то только подлещик.
Рыбу поймать просто... Найти сложно.
Re: Коротко о клёве. Июль 2014
Четверг, с 5-30 до 10 сорочка, на кольцо. Думал, если еще раз с нулем уйду - вообще туда никогда не поеду.
Народу - ничуть не меньше чем в субботу. Тяга нормальная, клев не ахти, но 4 леща закилошных достали на двоих с дочкой. Столько же не дотащили. Глубина 14 метров, хотя многие сидели кто на 16, кто на 9-11.
На берегу видели чела с несколькими сазанами точно больше 3 кило. Как он их на кольцо вытащил - ума не приложу....
Народу - ничуть не меньше чем в субботу. Тяга нормальная, клев не ахти, но 4 леща закилошных достали на двоих с дочкой. Столько же не дотащили. Глубина 14 метров, хотя многие сидели кто на 16, кто на 9-11.
На берегу видели чела с несколькими сазанами точно больше 3 кило. Как он их на кольцо вытащил - ума не приложу....
Рыбалка - это масса упущенных возможностей...
-
robinmarina
- Коренной Татфишевец

- Сообщения: 508
- Зарегистрирован: 03 авг 2011 22:56
Re: Коротко о клёве. Июль 2014
Сегодня с 6-00 до 13-00 набережная Локомотива. Ветер северный некомфортный. Прикорм перловка, Дунаев -лещ, усилитель клева, Дунаев -карп сазан и еще что то.
До 9-00 перепробовал всякие комбинации червя опарыша и еще шести типов спреев - ничего не помогло. В 9-00 съездил в оптовый около автовокзала за мотылем, поменял на крючки тонкие 14 номер от Owner и тут началось
Начал клевать подлещик, на 5-6 мотылей. Теперь я понимаю почему спортсмены рыбачат на мотыля
Клевало очень тихо, и не заметно. Да и сильный ветер добавлял проблемы по фиксации поклевок. Но все равно рыбки время от времени поклевывали и по
являлись на поверхности воды. Эксперименты с добавлением к мотылю кусочков червя или одного Опарика, ни к чему не привели. Если Опарик или кусок червя оставался на крючке, клев прекращается.
Итог рыбалки 4 кила подлещиков, о пущенных подрастать.
ЗЫ: завтра пойду эту теорию проверять на Мешу.
До 9-00 перепробовал всякие комбинации червя опарыша и еще шести типов спреев - ничего не помогло. В 9-00 съездил в оптовый около автовокзала за мотылем, поменял на крючки тонкие 14 номер от Owner и тут началось
Начал клевать подлещик, на 5-6 мотылей. Теперь я понимаю почему спортсмены рыбачат на мотыля
Клевало очень тихо, и не заметно. Да и сильный ветер добавлял проблемы по фиксации поклевок. Но все равно рыбки время от времени поклевывали и по
являлись на поверхности воды. Эксперименты с добавлением к мотылю кусочков червя или одного Опарика, ни к чему не привели. Если Опарик или кусок червя оставался на крючке, клев прекращается.
Итог рыбалки 4 кила подлещиков, о пущенных подрастать.
ЗЫ: завтра пойду эту теорию проверять на Мешу.
-
CAHEK_116ru
Re: Коротко о клёве. Июль 2014
25.07.2014.
Пока ждал супругу с работы, с 20:00 до 22:00 заехал на Локомотив на пару часов...прикорм шоколад+анис ..насадка кукуруза..2 поклевки за 1.5 часа..одна реализована, Сазан около 2-х кило, вторая сход около берега, рыбачил без сачка((( сазан ушел примерно такой же как и пойманый. Фото выложу позже..
сегодня 27.07.2014 с 4:00 до 7:00. Правый берег Волги, фидер, прикорм Дунаев +Фадеев синий..+ еще какая то прикормка..остатки..сход сазана на кукурузу около 4:30..повел вдоль берега в итоге сход из за растущего на берегу дерева (((, с 5:00 пошел лещ сорожка..в итоге поймано около 5 кг.сороги и пару лещей около 1 кг. на апарыша.. В 7 свернулся так как надо было ехать..но клев не прекратился...отдал опарыша заезжему туристу с 51 региона..который тщетно пытался поймать что нибудь на червя...
Пока ждал супругу с работы, с 20:00 до 22:00 заехал на Локомотив на пару часов...прикорм шоколад+анис ..насадка кукуруза..2 поклевки за 1.5 часа..одна реализована, Сазан около 2-х кило, вторая сход около берега, рыбачил без сачка((( сазан ушел примерно такой же как и пойманый. Фото выложу позже..
сегодня 27.07.2014 с 4:00 до 7:00. Правый берег Волги, фидер, прикорм Дунаев +Фадеев синий..+ еще какая то прикормка..остатки..сход сазана на кукурузу около 4:30..повел вдоль берега в итоге сход из за растущего на берегу дерева (((, с 5:00 пошел лещ сорожка..в итоге поймано около 5 кг.сороги и пару лещей около 1 кг. на апарыша.. В 7 свернулся так как надо было ехать..но клев не прекратился...отдал опарыша заезжему туристу с 51 региона..который тщетно пытался поймать что нибудь на червя...
Re: Коротко о клёве. Июль 2014
Сегодня.Квок.Волга.Васильево,пробивали местность на наличие сома,сом есть
были поклевки,но до борьбы дело не дошло...безветренные летние дни,как же я по ним скучаю....достали сильные ветра 
Re: Коротко о клёве. Июль 2014
Сегодня, как обычно кольцо
, с 4:00 до 8:00 возле моста через Волгу М7. Поймано 3 подлещика 700, 750 и 800 гр. Все поймано на опарика, остальное в игноре. В 5:00 тяга прекратилась, 6:00 подул восточный ветер и началась обратка.
Судя по всему, слово «вобла» произошло от удивленного восклицания рыбака...
Re: Коротко о клёве. Июль 2014
Сегодня, Мёша с 5.00-14.30. Совместно с Рашитом. Место новое, красивое. Норка на противоположном берегу бегала.
1 фидер прикорм лещ карамель, плотва чёрная, сухари микс, пелец клубника. Червь, опарыш, мотыль.
2 фидер прикорм озеро клубника. Рябина, опарыш, червь, мини-бойл.
С 5.00-6.00 клевала откровенная лаврушка. С 6.00-9.00 от рыбалки отдыхал - ТИШИНАААА.
В десятом часу на мини-бойл с опариком попался хорошенький лещик. Сначала думал, что сазанчика цепанул. Рывки, ходьба из стороны в сторону всё говорило о НЁМ. Ан нет. Лещара борзый оказался. Минут через 40 на червя с опарышем подлец на 800 гр.
Дальше опять 3 часа тишины, покоя и блаженства. Ну как блаженства - Рашит всё ловит и ловит мляха-муха леща-подлеща. А у меня
.
В 13.00 поймал пару подлещиков бодреньких на мотыля и опять на 1,5 часа ТИШИНА.
В итоге: улов 3,2 кг (4 шт).
У Рашита 7,5 кг отборного подлеца. Попался лещик килошный и сазанчик не особо крупный. Пару гибрасиков было. 3 схода сазанца. Про уловы соседей писать не буду. Но голавликов и сазанчиков ловили неплохо.
Почему у меня было затишье в основном - не знаю. Диповал опарыша, менял поводки. Не помогло. Но своё я всё же взял. Да и место очень мне понравилось.
Глубина 2-3 метра. Течение достаточно быстрое.Кормуху 42, 53 гр сносило. Погода
- ни жарко, ни холодно.
1 фидер прикорм лещ карамель, плотва чёрная, сухари микс, пелец клубника. Червь, опарыш, мотыль.
2 фидер прикорм озеро клубника. Рябина, опарыш, червь, мини-бойл.
С 5.00-6.00 клевала откровенная лаврушка. С 6.00-9.00 от рыбалки отдыхал - ТИШИНАААА.
В десятом часу на мини-бойл с опариком попался хорошенький лещик. Сначала думал, что сазанчика цепанул. Рывки, ходьба из стороны в сторону всё говорило о НЁМ. Ан нет. Лещара борзый оказался. Минут через 40 на червя с опарышем подлец на 800 гр.
Дальше опять 3 часа тишины, покоя и блаженства. Ну как блаженства - Рашит всё ловит и ловит мляха-муха леща-подлеща. А у меня
В 13.00 поймал пару подлещиков бодреньких на мотыля и опять на 1,5 часа ТИШИНА.
В итоге: улов 3,2 кг (4 шт).
У Рашита 7,5 кг отборного подлеца. Попался лещик килошный и сазанчик не особо крупный. Пару гибрасиков было. 3 схода сазанца. Про уловы соседей писать не буду. Но голавликов и сазанчиков ловили неплохо.
Почему у меня было затишье в основном - не знаю. Диповал опарыша, менял поводки. Не помогло. Но своё я всё же взял. Да и место очень мне понравилось.
Глубина 2-3 метра. Течение достаточно быстрое.Кормуху 42, 53 гр сносило. Погода
Не так страшен Бэн, как его ган.
Re: Коротко о клёве. Июль 2014
тоже сегодня, Волга, квок,..... сом естьСпортсмен писал(а):Сегодня.Квок.Волга.Васильево,пробивали местность на наличие сома,сом естьбыли поклевки,но до борьбы дело не дошло...безветренные летние дни,как же я по ним скучаю....достали сильные ветра
Re: Коротко о клёве. Июль 2014
Сегодня с 4,00 на воде , на кольцо на леща, кормушка закинута , насадка червя апарышевый бутер! Тишина тяги нет как и рыбы, пробовали на 20 потом на 18, потом на 14 метрах, тяги нет в 7 гдето пошла тяга, тишина штиль красота)но по рыбе ноль) потом пойман один лещь около кило, после того как около 10-11,00 пошел ветер пойман лещ за 2 кг, поклевок не видать, снасть вытаскиваешь крючки голые, мелочь видать снимала! в итоге 5 штук! Ветер достал ушел в 12 на берег! Рыбалкой не доволен! Когдаже придет лето))
Re: Коротко о клёве. Июль 2014
26-го Свияга в районе Введенки-Меведково. Отчёт не совсем о клёве, а том что его там больше не будет. Дорогу строят прям по урезу воды, 1,5...5 м. от берега
. Ехали, как всегда в предвкушении процесса, с творческими планами. За две недели до этого хищник радовал поклёвками, а теперь бульдозеры и самосвалы по берегу снуют. Вот и ещё минус один рыбацкий угол 
Последний раз редактировалось ole9623 28 июл 2014 19:23, всего редактировалось 1 раз.
Жизнь прекрасна, потому что она удивительна!
Re: Коротко о клёве. Июль 2014
Кама. Донки + фидер. Мелочь пузатая, а рыба видимо за кардон ушла...


Хотелось как лучче... а получилось sgnk.bos.ru







