Коротко о клеве. Май 2018 г.
Модераторы: edik, Max, Ruslan T
-
alexandro.57
- С нами

- Сообщения: 215
- Зарегистрирован: 13 май 2011 12:31
Коротко о клеве. Май 2018 г.
Погода
Глубина
Течение
Рыба
Глубина
Течение
Рыба
Re: Коротко о клеве. Май 2018 г.
Наступил май – рыболовный сезон открывай!
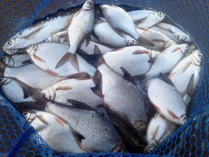
Первый выезд сезона – за плотвой на Волгу. Уровень воды пока что возмутительно низкий! С удовольствием размял руки после длительного перерыва (долгие 7 месяцев без рыбалки), протестировал обновленные рецептуры прикормок «ДУНАЕВ». Наибольшие изменения, на первый взгляд, получила серия Плотва-Спорт – новый интересный запах, цвет прикормки поменялся с коричневого на землистый, также мне показалось, что увеличено содержание молотой конопли.
Вода еще достаточно холодная, поэтому рыбка поклевывала не слишком решительно. Немного оживляли обстановку дипы, стимулируя на более смелые поклевки. Мотыль в качестве насадки плотва предпочитала сегодня в большей степени.
Вот чем примечательны рыбалки в местах, расположенных неподалеку от частного сектора – так это близостью к народу! Примерно раз двадцать я ответил на вопросы «Как клюёт?» и «На что я ловлю», выслушал от местных жителей полдюжины жизненных историй из серии «А вот я поймал в прошлом году…», а также получил массу полезных и не очень советов на околорыболовную тематику, чем скрасил паузы в ожидании поклевок. )))
Первый выезд сезона – за плотвой на Волгу. Уровень воды пока что возмутительно низкий! С удовольствием размял руки после длительного перерыва (долгие 7 месяцев без рыбалки), протестировал обновленные рецептуры прикормок «ДУНАЕВ». Наибольшие изменения, на первый взгляд, получила серия Плотва-Спорт – новый интересный запах, цвет прикормки поменялся с коричневого на землистый, также мне показалось, что увеличено содержание молотой конопли.
Вода еще достаточно холодная, поэтому рыбка поклевывала не слишком решительно. Немного оживляли обстановку дипы, стимулируя на более смелые поклевки. Мотыль в качестве насадки плотва предпочитала сегодня в большей степени.
Вот чем примечательны рыбалки в местах, расположенных неподалеку от частного сектора – так это близостью к народу! Примерно раз двадцать я ответил на вопросы «Как клюёт?» и «На что я ловлю», выслушал от местных жителей полдюжины жизненных историй из серии «А вот я поймал в прошлом году…», а также получил массу полезных и не очень советов на околорыболовную тематику, чем скрасил паузы в ожидании поклевок. )))
Re: Коротко о клеве. Май 2018 г.
Давненько я не брал в руки шашек.
Немного половил уклейку на "мах". Попл 1 грамм игла #colmic, один опарик. Прикармливал #dunaev спорт озеро, клевало не так чтобы бодро, но за три часа наковырял 1900 грамм уклеи. Рыбуленьки ещё не проснулись.
Марий Эл, река Илеть.
Немного половил уклейку на "мах". Попл 1 грамм игла #colmic, один опарик. Прикармливал #dunaev спорт озеро, клевало не так чтобы бодро, но за три часа наковырял 1900 грамм уклеи. Рыбуленьки ещё не проснулись.
Марий Эл, река Илеть.
Снасти должны быть такими, чтобы любоваться ими в долгие часы безклевья. (с) С.П.
Союз абсолютной истины. «Верное сердце всегда найдёт достойную награду.»
Масутацу Ояма
Союз абсолютной истины. «Верное сердце всегда найдёт достойную награду.»
Масутацу Ояма
Re: Коротко о клеве. Май 2018 г.
А 4 мая в этом году очень похоже на середину апреля, особенно что касается погодных условий и особенно температуры воды.. 7-8 градусов - это еще зимний рацион и невысокая активность.. челюсти не сводит разве что у хищников, щука-судак-налим и вечноголодного властелина рек по имени ерш. Еда предложена хвостатым живописная:
Вода на удивление пока не особо грязная, вполне "жилая".
Рыбка обозначилась через пару часов, но не та, что в мечтах.. потому была возвращена обратно расти, опарышей обтрепывать да червей лохматить...
Серьезные едоки просыпаются в эту прохладную пору только к обеду, а то и опаздывают:
Голавль серьезного размера пожаловал в садок уже часам к трем.. а после тяга начала спадать, напала сорога.. весело сдирающая любую насадку с кривых крючков 4-6 номера как изголодавшийся по шашлыку народ с шампурчика.. но эту рыбешку мы будем ловить осенью..
Лещ еще не проснулся от зимней спячки, попавшийся ладошечный мелкий не в счет, он здесь зимовал, ловился с уклейкой у зимней стражи водоемов.. что ж, будем в гости ждать..
Лещ еще не проснулся от зимней спячки, попавшийся ладошечный мелкий не в счет, он здесь зимовал, ловился с уклейкой у зимней стражи водоемов.. что ж, будем в гости ждать..
Рыбацкая удача - трудное счастье.
Re: Коротко о клеве. Май 2018 г.
Меша .Сакуры Сильная тяга Мутная вода Воду сильно спустили Поклевки были но не попалось нтчего Видать надо подождать
Re: Коротко о клеве. Май 2018 г.
Может есть какие нить новости с водоемов
Re: Коротко о клеве. Май 2018 г.
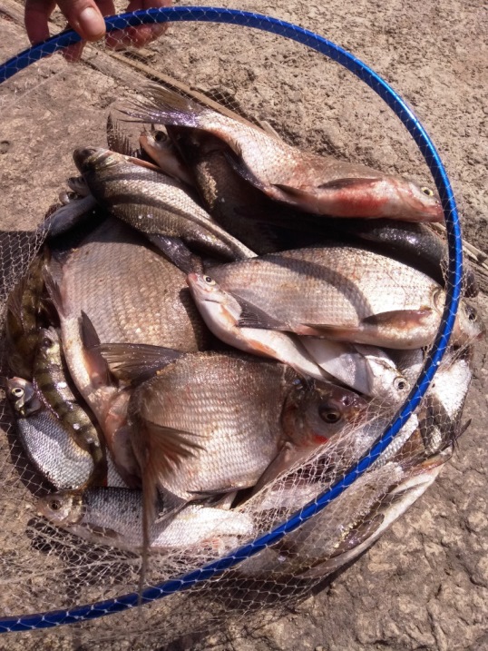
Вчера отлично отловился в Тетеево. Там где платный въезд.
Ловил на фидер, дистанция 42 метра. Прикорм Дунаев-Фадеев и Фишбейт, мешал на меласе с аромой Лещ от Алвеги.
Народу тьма, кое как место нашел в 4:30 утра.
Рыбка сразу отозвалась, бойкий клёв густеры, сопы и подлещика. Затем на точку встал карась, реально крупный карась, самый крупный 950 г.
В итоге 22 карася-порося, 3 леща (максимальный 900 г) и очень много разнорыбицы.
Клевало лучше с утра, часов до 11, затем очень слабо, видимо при прогреве воды брачные дела.
За въезд берут 500 р. (не понимаю с какого ху..дожника, но спорить не стал) с предупреждением, что если после 13:00 выезжать еще 200 р. надо доплатить. Выезжал в 14:00 не доплачивал.
Ловил на фидер, дистанция 42 метра. Прикорм Дунаев-Фадеев и Фишбейт, мешал на меласе с аромой Лещ от Алвеги.
Народу тьма, кое как место нашел в 4:30 утра.
Рыбка сразу отозвалась, бойкий клёв густеры, сопы и подлещика. Затем на точку встал карась, реально крупный карась, самый крупный 950 г.
В итоге 22 карася-порося, 3 леща (максимальный 900 г) и очень много разнорыбицы.
Клевало лучше с утра, часов до 11, затем очень слабо, видимо при прогреве воды брачные дела.
За въезд берут 500 р. (не понимаю с какого ху..дожника, но спорить не стал) с предупреждением, что если после 13:00 выезжать еще 200 р. надо доплатить. Выезжал в 14:00 не доплачивал.
Re: Коротко о клеве. Май 2018 г.
Отлично половил с фидером на "Локомотиве" в спортивном режиме. Замешал в этот раз, пожалуй, один из самых классических и универсально-работающих составов из ассортимента прикормок "ДУНАЕВ". На этот раз обошлось без серьезных бонусов, тяжелее 600-700 граммов ничего не попадалось, однако возросшая активность рыбы радует. Бодро клевала густера, подлещик, крупная плотва, чехонь. В паузы, когда от прикормочного пятна отходила крупная рыба, насадкой живо интересовалась уклейка. Ловил с двух дистанций - 30 и 45 метров, на обеих точках было интересно. Поводок - 0,1мм, 50см. По насадке - только мотыль (опарыш оставался без внимания).
Re: Коротко о клеве. Май 2018 г.
styx, весной рыбе 'мясо' надо: мотыль, черви.. вчера даже выползков ободрали с крючка 3/0. Насадка была с тенисный шарик.. а крупняка не было в этот день весомей грамм 600-800.
Тока голавлик порадовал.. под 800.
Тока голавлик порадовал.. под 800.
Рыбацкая удача - трудное счастье.
-
damir08
Re: Коротко о клеве. Май 2018 г.
В субботу посидел 3 часа на Волге (нариман). В итоге поимал 5 подлещиков и 1 голавлик. Водичка уже чистая, тросника только много тащит.
Re: Коротко о клеве. Май 2018 г.
Половил немного на донку в камских заливах вместе с подрастающим поколением. Рассчитывал на тягу, и состав прикормки месил соответствующий - Дунаев Премиум лещ + Фадеев Фидер река, однако течения не было, поэтому пришлось рыбачить как есть. За дальней бровкой поклевок практически нет, вся рыба поймана с дистанции 30 метров. На мотыля ловить невозможно, мелочь клюет сразу после падения на дно. Убрал мотыля, насаживал червя и опарыша. Пулеметный клев некрупной густеры, чехони, сопы. Крупнее 300г ничего нет. Весь улов отпущен восвояси.
- amiricanec
- -

- Сообщения: 110
- Зарегистрирован: 15 янв 2014 18:12
Re: Коротко о клеве. Май 2018 г.
Вчера с 16 до 19 часов на Казанке с дочкой испытывали маховую уду. Ребенок с восторгом натаскала полведерка уклейки на опарики,мой фидер на дальней дистанции молчал...погода прелесть,на учин жареная уклейка в кляре радовала семью))
В зеркальном карпе обычно отражается довольная харя рыбака.
Изобилие-рождается в щедрости...
Изобилие-рождается в щедрости...
Re: Коротко о клеве. Май 2018 г.
Меша.
Ночная вылазка.
Ночью еще довольно прохладно у воды, экипировка соответственно.
По приезду под закат, удивило мало народу.
Подумал что еще рано, но раз приехал значит вперед.
Намесил Дунаев Лещ черный с белым, настроил ассемитричку, груз 70 гр. и вперед.
Насадка червь и два опарика.
И поперло с первого заброса, лещ на 1.5, потом по кило штук 4 пока солнце не зашло и все, стемнело и в течении ночи стабильно 2 рыбы в час.
Попадалось уже в основном крупные под лещики, поменял поводок на более длинный ( 80 см) опять влетел лещ и все.
Как только рассвело, на точку встал гибрид, довольно крупный, клевал с оттяжкой как лещ, но увы.
Пробовал разные поводки, только опарик, все равно гибрид.
Взял внуку штуки 4 , что бы в ванной плавали, он любит их сачком ловить)) и отпускать потом , так и живут все лето, потом в везем их в Каму осенью и отпускаем.
Так что Лещ в Меше есть, ключик подобрать надо и место. Всем хороших рыбалок. Вода потихоньку на прибыль, тяга приличная. До скорых встреч на водоеме.
Ночная вылазка.
Ночью еще довольно прохладно у воды, экипировка соответственно.
По приезду под закат, удивило мало народу.
Подумал что еще рано, но раз приехал значит вперед.
Намесил Дунаев Лещ черный с белым, настроил ассемитричку, груз 70 гр. и вперед.
Насадка червь и два опарика.
И поперло с первого заброса, лещ на 1.5, потом по кило штук 4 пока солнце не зашло и все, стемнело и в течении ночи стабильно 2 рыбы в час.
Попадалось уже в основном крупные под лещики, поменял поводок на более длинный ( 80 см) опять влетел лещ и все.
Как только рассвело, на точку встал гибрид, довольно крупный, клевал с оттяжкой как лещ, но увы.
Пробовал разные поводки, только опарик, все равно гибрид.
Взял внуку штуки 4 , что бы в ванной плавали, он любит их сачком ловить)) и отпускать потом , так и живут все лето, потом в везем их в Каму осенью и отпускаем.
Так что Лещ в Меше есть, ключик подобрать надо и место. Всем хороших рыбалок. Вода потихоньку на прибыль, тяга приличная. До скорых встреч на водоеме.
Я против платной рыбалки!!!!!!
Re: Коротко о клеве. Май 2018 г.
На меше фидер прикормка с запахом чеснока идет лещ работает, сладкие не работают!!
Re: Коротко о клеве. Май 2018 г.
Были сегодня на Меше,в ....Червь,опарыш,мотыль,прикормки - всё мимо.Приехали местные матадоры на 2-х мотоциклах с вилами-острогами,вот у них вовсю клевало.Потом ещё подьехали на Ниве и ещё на какой то тачке,тоже не пустые.На мои вопросы,мол ребята,вы тут ничего не попутали,послали и посоветовали уехать,пока колёса нормальные.чтобы не пешком.Это было что то!!!Короче,заказник - это только на бумаге и для нас(200 метров от воды и т.д.).МТС там что то не берёт.Вот такая получилась рыбалка.По словам этих матадоров,вчера было хуже,а как будет завтра,никто не знает. 
Re: Коротко о клеве. Май 2018 г.
Ну вот и пролетели наши соревнования в г. Уфе мимолетно и не заметно
Ожидалось конечно же лучшего, но увы... Жеребьевка и не совсем устоявшейся погодка не дала нам разгуляться на полную руку
но мы не унываем, все впереди и мы обязательно отыграемся
Итак приехали мы на озеро Линевое, не подалеку от г. Уфа, прошла жеребьевка и мы понимаем что попали в сектора которые очень хорошо отыгрываются по тузлу (1,5-3 кг) НО ТОЛЬКО ЛЕТОМ
и так работа полным ходом, промерка точек, ровный стол... и только на за 130 м выявляется четкое русло. Встаем на ближняке, напарник даль
погнали... Прикормочная программа пошла в точку, мелкие пики.... и ни чего большего... работаем и еще раз работаем... одна точка перешла в "чикаго"
дистанция 160+ и ночью первая внятная поклевка, увы ... что сказать по всему водоему то рыб был совершенно не активный, за 2 суток отловилось 4 команды из 12
у 3х команд по одному тузику и 1а команда с 2мя рыбками
молодцы, что тут сказать
кстати нынче использовали сумку для бойлов от Aquatic, для работы с коброй незаменимая штука
удобная, плотная
до корман рулил
так что для карпятников однозначно могу рекомендовать , не ожидал что так четко подойдет
ну а фильм пока готовиться , выставлю немного наших фото
а сейчас готовимся к выезду на Чемпионат Мордовии














Лично я люблю землянику со сливками, но рыба почему-то предпочитает червяков. Вот почему, когда я иду на рыбалку, я думаю не о том, что люблю я, а о том, что любит рыба.
Дейл Карнеги!
Дейл Карнеги!
Re: Коротко о клеве. Май 2018 г.
Ну вот и видосик
Лично я люблю землянику со сливками, но рыба почему-то предпочитает червяков. Вот почему, когда я иду на рыбалку, я думаю не о том, что люблю я, а о том, что любит рыба.
Дейл Карнеги!
Дейл Карнеги!
-
sckameikin22
- Сообщения: 1
- Зарегистрирован: 04 июн 2018 15:47
Re: Коротко о клеве. Май 2018 г.
Да, неплохой улов.



